
Motoristas que circulam pela região da avenida Francisco Rodrigues Filho, no bairro Nova Mogilar, em Mogi das Cruzes, deverão ficar atentos às mudanças viárias que começam a valer a partir deste sábado (21). As alterações incluem implantação de mão única em trecho de rua, instalação de semáforo, nova sinalização e ajustes no canteiro central.
As intervenções estão sendo realizadas pela Secretaria Municipal de Mobilidade e Trânsito. As obras no canteiro da avenida Francisco Rodrigues Filho, na altura do encontro com a avenida Antônio de Almeida, começaram no domingo (15), com serviços preparatórios para implantação das mudanças.
Segundo a administração municipal, o objetivo é reorganizar a circulação de veículos, melhorar a fluidez do tráfego e oferecer novas alternativas de deslocamento aos motoristas que utilizam as vias da região.
De acordo com o vice-prefeito Téo Cusatis, as alterações foram planejadas a partir de estudos técnicos e também após ouvir moradores da região, que registra crescimento do número de empreendimentos residenciais e aumento no fluxo de veículos.
“As intervenções foram planejadas a partir de estudos técnicos realizados pelas nossas equipes e também após ouvir moradores da região, que concentra grande número de condomínios residenciais e registra intenso fluxo de veículos”, afirmou.
Ele acrescentou que a expansão urbana contribuiu para o aumento da circulação de carros na região. “A Prefeitura está promovendo essas mudanças para melhorar a organização do trânsito e a qualidade de vida de quem vive e circula por ali”, disse.

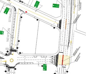
Veja as mudanças que serão promovidas com a nova sinalização e semáforo na região do bairro Nova Mogilar – Ilustração PMMC
Sinalização
Entre as principais mudanças está a implantação de mão única de direção na avenida Louraci Della Nina Tavares, no trecho entre a rua Newton Straube e a avenida Francisco Rodrigues Filho.
Com a alteração, a via passará a ter circulação em sentido único, medida que, segundo a Prefeitura, deve organizar o acesso às vias locais e facilitar a entrada e saída dos condomínios da região.
Outra mudança será a implantação de um novo semáforo na esquina da avenida Louraci Della Nina Tavares com a avenida Francisco Rodrigues Filho. O equipamento deverá disciplinar as conversões para quem acessa a avenida Francisco Rodrigues Filho no sentido do distrito de César de Souza.
Também será implantada sinalização proibindo a conversão à direita da avenida Francisco Rodrigues Filho para a avenida Louraci Della Nina Tavares.
A Prefeitura informou que toda a região receberá reforço de sinalização horizontal e vertical para orientar os motoristas sobre as novas regras de circulação.
A recomendação é que os condutores redobrem a atenção nos primeiros dias após a implantação das mudanças.
Rotas alternativas
Com as alterações, a administração municipal também pretende estimular o uso de rotas alternativas para acesso às vias internas da região.
Uma das opções indicadas é para motoristas que trafegam pela avenida Francisco Rodrigues Filho no sentido Centro. Nesse caso, a orientação é utilizar a conversão à direita para a avenida Antônio de Almeida e seguir pela rua Newton Straube, acessando posteriormente a avenida Yoshiteru Onishi, no sentido da rodovia Mogi-Dutra.
Segundo a Prefeitura, a medida deve contribuir para distribuir melhor o fluxo de veículos nas vias do entorno e facilitar o deslocamento entre bairros, incluindo acessos ao distrito de César de Souza.
O secretário municipal de Mobilidade e Trânsito, Felício Ramuth Kamiyama, explicou que o objetivo é reorganizar os acessos e ampliar as possibilidades de deslocamento na região.
“Estamos implantando mudanças importantes na sinalização e no sentido das vias para orientar melhor os deslocamentos e incentivar o uso de caminhos alternativos. Com isso, a população passa a contar com novas opções de trajeto, como uma rota alternativa para quem segue em direção a São Paulo, por exemplo”, afirmou.
A Secretaria informou que fará o acompanhamento das mudanças após a implantação.
“O monitoramento será constante e, se necessário, poderemos realizar ajustes. A Prefeitura está sempre aberta a ouvir a população e aprimorar as soluções de mobilidade urbana”, disse o secretário.
Investimentos em mobilidade
As intervenções fazem parte de um conjunto de obras e projetos voltados à mobilidade urbana em Mogi das Cruzes.
Entre eles está o Corredor Nordeste, que fará a ligação entre os distritos de César de Souza e Rodeio. A obra tem o objetivo de reduzir o fluxo de veículos nas avenidas Ricieri José Marcatto e João XXIII. Segundo a Prefeitura, o projeto está cerca de 90% concluído.
Outro investimento em andamento é a duplicação da avenida Pedro Romero, via de acesso à Unidade de Pronto Atendimento (UPA) do Rodeio. A obra busca ampliar a capacidade de circulação de veículos e facilitar o deslocamento de motoristas que vêm de bairros como Vila Suíssa e Botujuru, além de cidades vizinhas, como Guararema.
Também está em fase de preparação o processo de licitação da avenida Parque 1, nova ligação viária que conectará a avenida Francisco Rodrigues Filho, na rotatória próxima ao Parque Centenário, à avenida Antônio de Almeida, nas proximidades da ponte do Rodeio.
Na última semana, a Câmara Municipal aprovou ainda um projeto que autoriza a Prefeitura a firmar convênio com a Caixa Econômica Federal no valor de R$ 171 milhões. Os recursos deverão ser utilizados na recuperação da avenida Miguel Gemma e na construção de um novo trecho da via perimetral, ligando as rodovias Mogi-Bertioga e Mogi-Salesópolis.

















